Tag Archives: Bão Yagi
Bão Yagi: Toàn Cảnh Diễn Biến, Ảnh Hưởng và Biện Pháp Phòng Chống
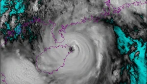
Tháng 9 năm 2024 đã chứng kiến một trong những siêu bão mạnh nhất trong [...]
13
Th10
Th10
Tháng 9 năm 2024 đã chứng kiến một trong những siêu bão mạnh nhất trong [...]